Elena Trails takes next step to build 450+ homes

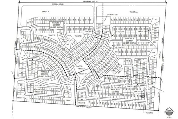
A screenshot from a preliminary plat for Elena Trails, a new subdivision on the southeast corner of Murphy and Farrell Roads. D.R. Horton closed the sale last week, according to Walton Global. [Courtesy City of Maricopa] Like it or not, another development is taking the next step towards construction. Texas-based developer D.R. Horton closed on…

Read More

Revolutionizing Virtual Real Estate Through Blockchain

In recent years, the concept of virtual real estate has emerged as a groundbreaking development in the digital age, capturing the imagination of investors, gamers, and digital enthusiasts worldwide. [wpts_spin]{Read|See} the {entire|full} article {on|about} real estate tech innovations, or, read more news about {Arizona real estate investing|real estate investing in Arizona|real estate investing in Arizona}….

Read More